水温16.9-19.0° 晴15.5-18.0°
釣果はマダイ<2〜0枚4.58kg〜900g>他にマハタ・マゴチ・イナダ・ホーボー・トラフグでした

4.58kg69cm・・・やったね!





東京湾でタイラバは「のんちゃん丸」で、またお好きな釣物で・・・!
タイラバ乗合で1号船8名・2号船5名で出船・2号船はリクエストでも(アオリイカ・カワハギ・サワラ・アジなど)出船
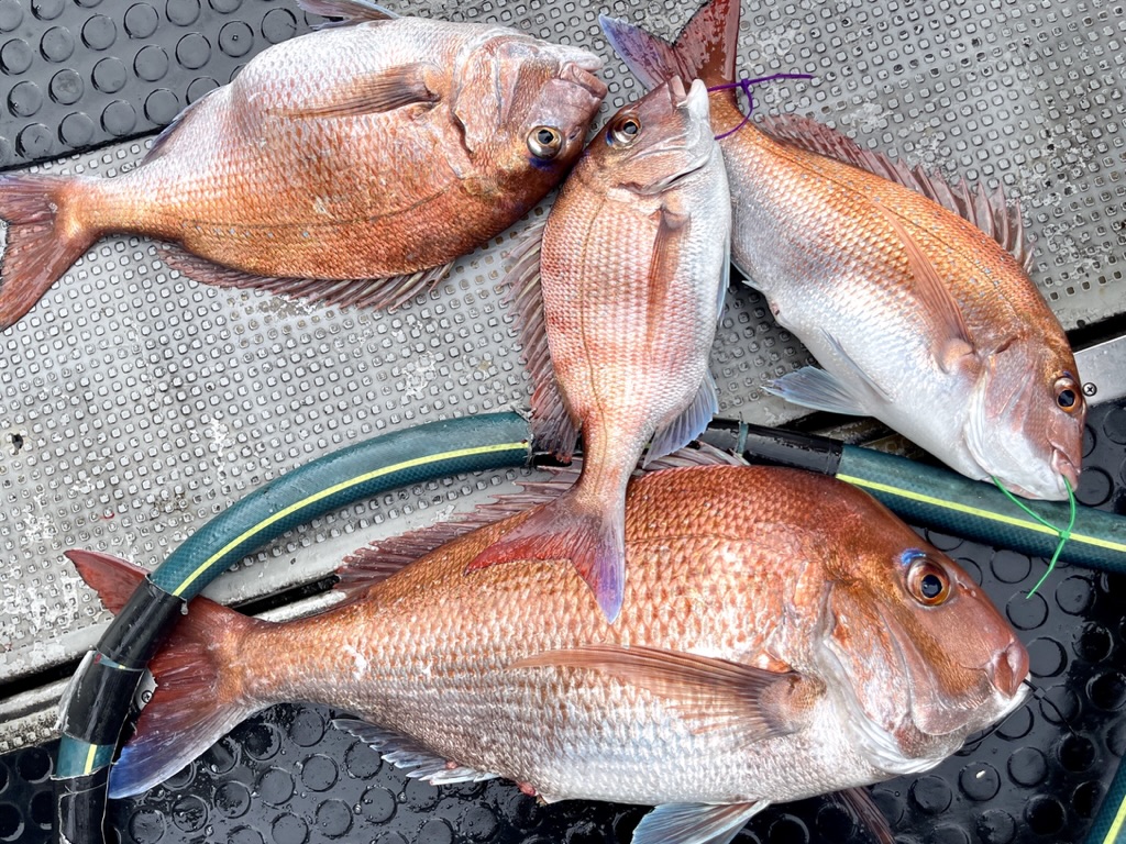
水温16.9-19.0° 晴15.5-18.0°
釣果はマダイ<2〜0枚4.58kg〜900g>他にマハタ・マゴチ・イナダ・ホーボー・トラフグでした

4.58kg69cm・・・やったね!





水温16.1-16.3° 曇10.4-17.6°

マダイ<4-1枚1.56kg-640>他ヒラメ・クロダイ・スズキ・ホーボーでした


水温16.3-16.5° 曇12.5-15.4°
マダイ<1枚1.38kg>他ヒラメ・ホーボー・クロダイでした



水温16.5-16.7° 晴11.3-18.0°

マダイ<3-0枚5.20k~リリース>他マゴチ・ホーボー・クロダイ・カレイでした

5.60kg75cm・・・おめでとう!

4.02kg68cm・・・やったね!

3.79kg66cm・・・おめでとう🥳

2.40kg・・・!





水温16.5-17.2° 曇14.3-18.3°

マダイ<6-1枚3.92k~リリース>他マゴチ・ワラサ・カサゴ・ホーボー・トラフグでした

3.92kg68cm・・・!

3.29kg60cm・・・!

2.16kg・・!











水温16.7-17.4° 晴19.3-24.3°
マダイ<5-0枚1.69k~リリース>他マゴチ・クロダイ・スズキ・ホーボー・カレイでした







可愛すぎ・・リリースです・・・!



水温16.7-17.7° 薄曇16.9-24.1°


トップ5枚が2人 2番手4枚
マダイ<5-1枚3.26k~510>他マゴチ・ホーボーでした

3.26kg66cm・・・!

2.91kg・・・!

2.71kg・・・!






水温16.7-16.8° 薄曇12.3-23.1°
マダイ<2-0枚1.45k~600>他クロダイ・マゴチ・ホーボー・カレイでした








水温116.4-16.7° 薄曇10.7-19.6°
トップ12枚2番手10枚・・・マダイ乱舞・・・!!!
大型続出7.06kg80cm・5.60kg75cm・4.62kg71cm・4.07kg65cm・3.00kg62cmと楽しいタイラバ・・・!
マダイ<12-3枚7.06k~リリース>他ワラサ・クロダイ・マゴチ・ホーボー・カレイでした

7.06kg80cm・・・自己記録更新・・・おめでとう!

5.60kg75cm・・・やったね!

4.62kg71cm・・・おめでとう!!!

4.07kg65cm・・・!

3.00kg62cm・・・!










水温16.5-17.3° 晴一時雨13.1-19.6°

トップ3枚2人でした
マダイ<3-0枚2.76k~610g>他クロダイ・タチウオ・ソゲ・マゴチ・ホーボーでした







